Le patrimoine mémoriel des guerres
59140
Conflits commémorés
Type de monument
Piédestal en pierre de forme polygonale de 4 mètres.
Groupe de figures en bronze de 3mètres de haut.
La statue, allégorie féminine, symbolise la Ville de Dunkerque.
Elle soutient un marin blessé alors qu'à ses pieds gît un soldat mourant.
Caractéristiques
Matériaux
Calcaire (gris, en plusieurs éléments) Groupe en bronze calcaire de Soignies Piédestal en pierre de forme polygonale
Commentaires

sur la plinthe, à sa gauche :
MORICE ; à sa droite :
DURENNE sur le piédestal,
-
en bas :
L. MORICE
STAT.
FC. MORICE
ARCH
AD. DEFFRENNES
ENTR. LILLE

LA VILLE DE DUNKERQUE
À SES ENFANTS
MORTS
POUR LA PATRIE
1870-1871

-
à l’arrière :
29 JUILLET
1906

1870-71
Pas de nom
  • DEFFRENNES Adolphe Entrepreneur a signé le monument
    Partie : Monument
  • DURENNE Antoine [Société des Établissements métallurgiques] Fonderie sur le monument DURENNE Antoine [Société des Établissements métallurgiques] Fonderie a signé le monument
    Partie : Sculpture (signature)
  • MORICE François Charles Architecte a signé le monument
    Partie : Monument
  • MORICE Léopold Sculpteur sur le monument MORICE Léopold Sculpteur a signé le monument
    Partie : Sculpture (signature)
Place de la République avec le Monument
Monument élevé à la Mémoire des Enfants de Dunkerque morts pour la Patrie
Monument élevé à la Mémoire des Enfants de Dunkerque morts pour la Patrie Inauguré en 1906
Dunkerque Monument élevé aux Enfants de Dunkerque morts pour la Patrie Inauguré en 1906
Vue générale de face
Archives municipales de Dunkerque
Détail : le groupe sculpté, de face
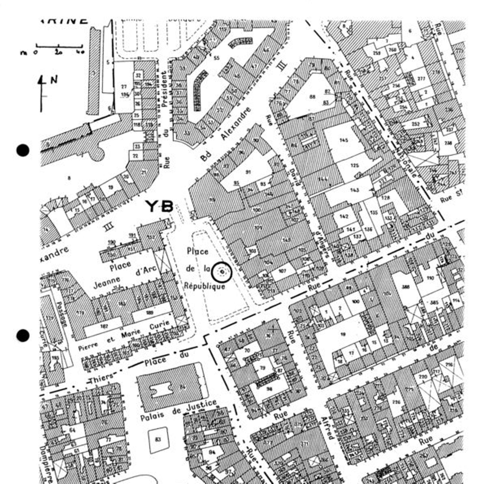
Localisation
de la République
Après des hésitations sur son implantation, elle remplaça une fontaine sur la place actuelle.
Plan de situation Extrait du plan cadastral normalisé mis à jour en 1985
  • Plan de situation Extrait du plan cadastral normalisé mis à jour en 1985

Historique du monument

1904

Délibérations Conseil municipal

1904

En 1904, le conseil municipal décide d'ériger un monument à la mémoire des enfants de Dunkerque morts pour la Patrie durant la guerre de 1870.

Archives -O. Ryckebusch

1906

Inauguration

vendredi 6 juillet 1906

S'agissant d'une défaite, il devenait plus difficile de valoriser les chefs et, surtout, se faisait impérativement sentir la nécessité de recréer un esprit national de vengeance. Les premières volontés d'unz statue n'apparurent qu'en 1899, près de 30 ans après la guerre, et l'inauguration n'eut lieu que le 6 juillet 1906 !

2009

Presse

novembre 2009

Dunkerque Magazine, Novembre 2009, n°201, p. 26

Honneur aux combattants de1870
À Dunkerque, le premier monument aux morts a été officiellement inauguré le 29 juillet 1906 sur la place de la République.

Dédiée à la mémoire des enfants de la commune tombés durant la guerre de 1870, cette imposante composition de huit mètres de haut, dessinée par le maître statuaire parisien Léopold Morice (auteur de la statue de la République à Paris et de celle de Christophe Colomb en Colombie), comprend un piédestal octogonal en pierre de Soignies, surmonté par trois statues de bronze.
Impressionnantes de réalisme, elles figurent symboliquement la ville de Dunkerque (ou la France, mère patrie) tenant de sa main gauche un drapeau qu’un marin blessé étreint et essaie d’embrasser avant de rendre son dernier souffle.
À sa droite gît un fantassin mortellement touché.
Deux martyrs anonymes de la guerre !

Dunkerque Magazine

Dernière modification : vendredi 28 mars 2025

Partager la page